
來源:香港商報網
2021-02-01 19:10

1日晚,特區政府將4個地區列為「受限區域」並即時圍封,包括尖沙咀彌敦道80號金鑾大廈、元朗安興街42至58A號元朗好彩洋樓、馬頭圍道23-35號隆基大樓,以及新填地街142-148號及眾坊街59A、59B、59C號,新填地街150-160號及永星裏2A號,受檢人士須留在處所並按政府安排接受強制檢測。各處現場均有大批警員戒備,身穿全套保護衣的工作人員亦到場為有關人士採樣檢測。當區居民大多認同政府措施,期望確診個案可盡快「清零」,讓市民能夠在農曆新年過上正常生活。
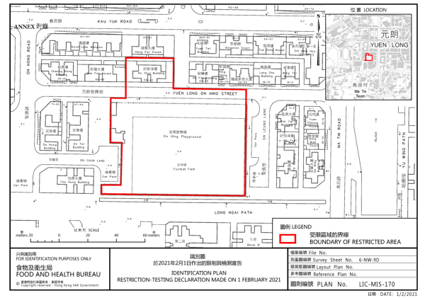
政府1日引用《預防及控制疾病規例》第599J章作出限制與檢測宣告:自當晚7時起,限制在元朗指明「受限區域」(即元朗安興街42至58A號元朗好彩洋樓)、尖沙咀指明「受限區域」(即彌敦道80號金鑾大廈)內的人士;自昨晚8時起,限制在九龍城指明「受限區域」(即馬頭圍道23-35號隆基大樓)內的人士;自當晚8時半起,油麻地指明「受限區域」(即新填地街142-148號及眾坊街59A、59B、59C號,新填地街150-160號及永星裏2A號)內的人士,須留在其處所並按政府安排接受強制檢測,目標在今早約7時完成行動。
上述4個受限區域日前都有確診個案,政府會在區內設立臨時採樣站,要求尖沙咀及油麻地受限區域的人士在2日凌晨零時前接受檢測,而紅磡及元朗受限區域的人要在2日凌晨2時前接受檢測。受檢人士會獲安排到採樣站接受核酸測試,由專人以咽喉和鼻腔合併拭子採樣,行動不便的人士和長者就獲安排上門採樣。
政府冀釋除居民憂慮恐懼
政府發言人表示,經過風險評估後,認為有需要就「受限區域」作出限制與檢測宣告,確認「受限區域」內所有人士已接受強制檢測,截斷區內傳播鏈,並藉此消除區內居民疑慮;又指明白區內居民因近日確診個案增加,感到非常不安和徬徨,憂心忡忡。在疫情陰霾下,區內的商店生意大受打擊,商業活動停頓,居民生計亦受到影響。政府希望這短暫的不便,能徹底截斷區內的傳播鏈,釋除居民的憂慮和恐懼,令居民對社區重拾信心,恢復社會和商業活動的生氣,讓市民生活能回復正常。
此前,政府前天晚間將藍田麗港城第5座及第7座列為「受限區域」,區內人士須留於當處接受強制檢測。政府昨早約7時30分宣布已完成強制檢測行動,相關執法行動於上午約11時30分完成,未發現有人未進行強制檢測。截至1日凌晨2時,有大約460名居民接受檢測,當中未發現新確診個案。(記者何加祺 攝影 馮瀚文)









.jpg)






另一「受限區域」馬頭圍隆基大樓:











香港商報2021-02-02
香港商報2021-02-02
香港商報2021-02-02
香港商報2021-02-02