下載客戶端
灣區
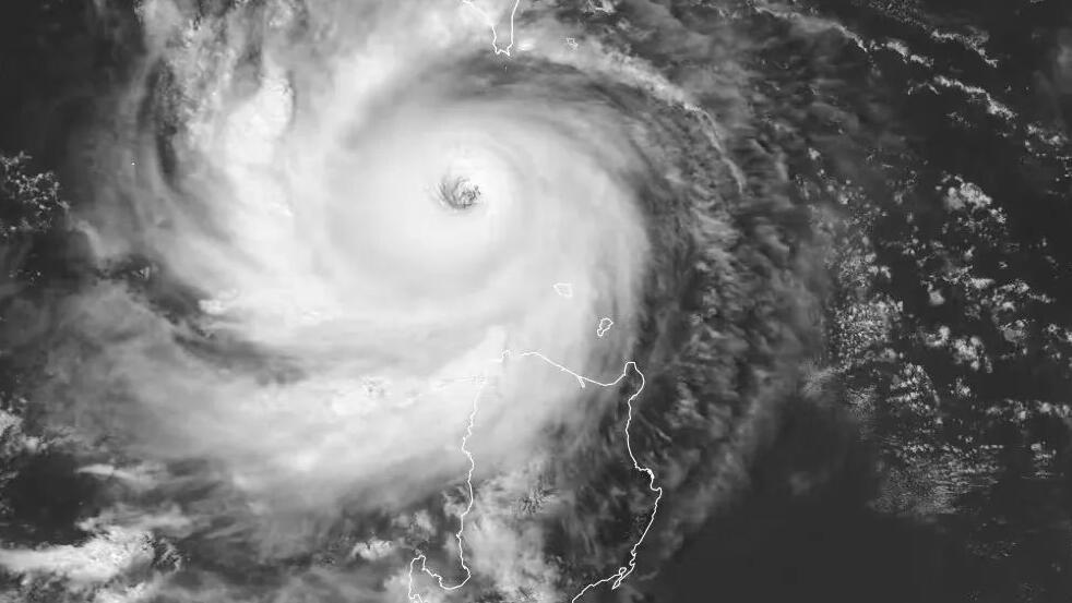
廣東將防風應急響應提升至Ⅱ級
2023-08-31
分享
受颱風「蘇拉」影響 珠海九洲客運港航班將進行停航調整
2023-08-30
分享
應對颱風「蘇拉」廣鐵停運部分線路列車
2023-08-30
分享
颱風「蘇拉」將移入南海東北部海面 最大風力17級以上
2023-08-30
分享
漫話大灣區
分享
水利部針對南方6省區啟動水旱災害防禦Ⅳ級應急響應
2023-08-30
分享
深中簽訂人社領域全面合作框架協議 大灣區城市合作再深化
2023-08-30
分享
颱風「蘇拉」或登陸粵東 廣東多地預警信號生效
2023-08-30
分享
超強颱風「蘇拉」路徑未定 廣東防風應急響應提升
2023-08-30
分享
廣東將防風應急響應提升至Ⅲ級
2023-08-30
分享
廣東啟動新一輪中考改革:9個科目省級命題,廣深自主命題
2023-08-30
分享
江門市4名代表赴京參加第十一次全國歸僑僑眷代表大會
2023-08-29
分享
廣汕高鐵試運行 全線開通進入倒計時
2023-08-29
分享
「產業融合 灣區聚力」2023年穗台經貿論壇在廣州舉辦
2023-08-29
分享
灣區長者科學養老新選擇 泰康之家·鵬園依山傍海華麗綻放
2023-08-29
分享
今年第9號颱風「蘇拉」或於廣東沿海登陸
2023-08-29
分享
中學小賣部5年租金943萬引爭議 懷集官方回應
2023-08-29
分享
惠州市原市長李汝求被開除黨籍
2023-08-29
分享
廣東啟動防風Ⅳ級應急響應
2023-08-29
分享
三個颱風!「蘇拉」登陸廣東沿海風險增加
2023-08-28
分享
粵警第四次夏夜治安巡查 累計出警33萬人次拘8373人
2023-08-28
分享
廣東2022年度全面推行河湖長制 工作考核結果公布
2023-08-28
分享
廣州地鐵五號線東延段預計年底開通 將串聯東莞、佛山
2023-08-28
分享
有片∣桂蒼梧赴穗推介六堡茶 科技賦能茶綜合產值達58億
2023-08-28
分享
9月23日截止!「灣區有新聲」2023粵港澳大灣區青年流行歌手大賽啟動,報名指南→
2023-08-28
分享
廣東最新人事任免
2023-08-28
分享
出行注意!廣東將迎大範圍降雨 局地有大暴雨
2023-08-28
分享
「百萬青年看祖國」港澳台實習生廣東行在廣州舉辦
2023-08-27
分享
全港各區工商聯第十九屆會董局就職典禮隆重舉行
2023-08-26
分享
深圖 「穿城而過,走讀深圳」系列活動首場講座開講
2023-08-26
分享
1
2
3
4
5
下一頁
廣東將防風應急響應提升至Ⅱ級
今年第9號颱風「蘇拉」8月31日7時中心位於距離廣東省惠來東偏南方向約320公里的海面上,中心附近最大風力17級,趨向廣東中東部海面,較大可能於9月1日在廣東省東部沿海登陸(強颱風級或超強颱風級,14-16級左右),或在廣東省東部近岸海面向西偏南方向移動,將給廣東省東部帶來嚴重風雨影響。根據《廣東省防汛防旱防風防凍應急預案》和省防總有關規定,廣東省防汛防旱防風總指揮部決定於8月31日8時將防風Ⅲ級應急響應提升為防風Ⅱ級應急響應。
2023-08-31
分享
受颱風「蘇拉」影響 珠海九洲客運港航班將進行停航調整
2023-08-30
分享
應對颱風「蘇拉」廣鐵停運部分線路列車
2023-08-30
分享
颱風「蘇拉」將移入南海東北部海面 最大風力17級以上
2023-08-30
分享
水利部針對南方6省區啟動水旱災害防禦Ⅳ級應急響應
據水利部官方微信消息,受今年第9號颱風「蘇拉」影響,預計,8月31日至9月2日,江南南部、華南東部北部和海南等地將有一次強降雨過程。受其影響,珠江流域片北江、東江、韓江,長江流域贛江、湘江,太湖流域片九龍江、閩江等河流將出現漲水過程,部分江河干支流可能發生超警以上洪水。
2023-08-30
分享
深中簽訂人社領域全面合作框架協議 大灣區城市合作再深化
近日,深圳市人力資源和社會保障局、中山市人力資源和社會保障局在深圳人才園共同簽署《深化深中人社領域全面合作框架協議》。深圳市人社局黨組書記、局長趙忠良,中山市人社局黨組書記、局長黃學禮分別代表兩地人社部門簽約。
2023-08-30
分享
颱風「蘇拉」或登陸粵東 廣東多地預警信號生效
今年第9號颱風「蘇拉」(超強颱風級)中心8月30日11時在距離廣東汕尾東南方向約570公里的巴士海峽海面上,中心附近最大風力17級以上。
2023-08-30
分享
超強颱風「蘇拉」路徑未定 廣東防風應急響應提升
根據《廣東省防汛防旱防風防凍應急預案》和省防總有關規定,廣東省防汛防旱防風總指揮部決定於8月30日12時將防風Ⅳ級應急響應提升為防風Ⅲ級應急響應。
2023-08-30
分享
廣東將防風應急響應提升至Ⅲ級
8月30日9時,今年第9號颱風「蘇拉」的中心距離廣東省惠來東偏南方向約580公里,中心最大風力17級以上(62米/秒,超強颱風級)。預計其於30日夜間或31日凌晨移入南海東北部海面,逐漸向福建南部到我省東部一帶沿海靠近,有可能於9月1日白天在上述沿海登陸,登陸時最強可達颱風級或強颱風級(38-45米/秒,13-14級),也有可能在廣東省東部近岸海面向西偏南方向移動。
2023-08-30
分享
廣東啟動新一輪中考改革:9個科目省級命題,廣深自主命題
為貫徹落實國家關於「雙減」政策、教育評價和教育教學改革的新要求,在總結前一輪中考改革的基礎上,近日,廣東省教育廳印發《深化高中階段學校考試招生制度改革實施意見》(下稱《意見》),自2023年9月1日起實施,有效期5年。
2023-08-30
分享
江門市4名代表赴京參加第十一次全國歸僑僑眷代表大會
2023-08-29
分享
廣汕高鐵試運行 全線開通進入倒計時
2023-08-29
分享
「產業融合 灣區聚力」2023年穗台經貿論壇在廣州舉辦
活動由廣州市人民政府台灣事務辦公室主辦,台灣省商業總會、全國台灣同胞投資企業聯誼會、香港台灣工商協會、澳門台商聯誼會、廣州市推進粵港澳大灣區建設領導小組辦公室、廣州市商務局、廣州市人民政府國有資產監督管理委員會、廣州市地方金融監督管理局、廣州市工商業聯合會、廣州市台資企業協會共同協辦。
2023-08-29
分享
灣區長者科學養老新選擇 泰康之家·鵬園依山傍海華麗綻放
2023-08-29
分享
今年第9號颱風「蘇拉」或於廣東沿海登陸
2023-08-29
分享
中學小賣部5年租金943萬引爭議 懷集官方回應
2023-08-29
分享
惠州市原市長李汝求被開除黨籍
日前,經廣東省委批准,廣東省紀委監委對廣東省東莞市原正廳級幹部李汝求嚴重違紀違法問題進行了立案審查調查。
2023-08-29
分享
廣東啟動防風Ⅳ級應急響應
鑑於颱風「蘇拉」發展趨勢及對廣東省影響,根據《廣東省防汛防旱防風防凍應急預案》和省防總有關規定,廣東省防汛防旱防風總指揮部決定於8月29日9時啟動防風IV級應急響應。
2023-08-29
分享
三個颱風!「蘇拉」登陸廣東沿海風險增加
今年第11號颱風「海葵」(英文名稱:Haikui;名稱由中國提供)已於28日上午在西北太平洋洋面生成。至此,西太平洋已經形成「三台鬧海」的局面。
2023-08-28
分享
粵警第四次夏夜治安巡查 累計出警33萬人次拘8373人
2023-08-28
分享
廣東2022年度全面推行河湖長制 工作考核結果公布
2023-08-28
分享
廣州地鐵五號線東延段預計年底開通 將串聯東莞、佛山
2023-08-28
分享
有片∣桂蒼梧赴穗推介六堡茶 科技賦能茶綜合產值達58億
2023-08-28
分享
9月23日截止!「灣區有新聲」2023粵港澳大灣區青年流行歌手大賽啟動,報名指南→
2023-08-28
分享
廣東最新人事任免
2023-08-28
分享
出行注意!廣東將迎大範圍降雨 局地有大暴雨
2023-08-28
分享
「百萬青年看祖國」港澳台實習生廣東行在廣州舉辦
2023-08-27
分享
全港各區工商聯第十九屆會董局就職典禮隆重舉行
2023-08-26
分享
深圖 「穿城而過,走讀深圳」系列活動首場講座開講
8月26日,深圳圖書館「穿城而過,走讀深圳」系列講座第二輯正式啟動。深圳自然與歷史研究者、深圳城市規劃委員會委員、深圳圖書館理事南兆旭擔任主講嘉賓,帶來首場講座「致敬深圳元年」,科普深圳1979至1980年間的歷史,講述深圳蝶變始末,與市民讀者一同為深圳經濟特區43周歲慶生。
2023-08-26
分享
深圳福田又榮獲一國家級獎項
2023-08-26
分享
點擊加載更多新聞>>
下載APP