
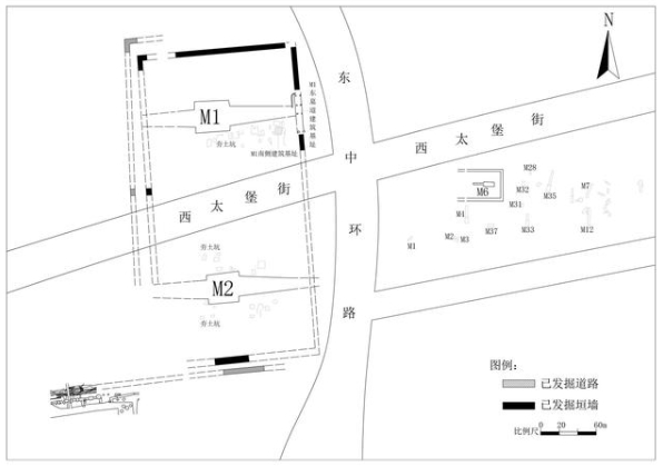
这是墓园示意图。太原市文物考古研究所供图。
近日,山西省考古研究院、太原市文物考古研究所等单位发布考古成果,考古工作者在太原市东山发现一处大型西汉墓园遗址。墓园内的两座古墓规模大、规格高,西汉时太原为诸侯国代国的都城,专家推测它可能是某位代王及其夫人的墓园。
从2015年至今的考古发掘成果看,墓园为南北向长方形结构,东西墙垣间距180米,南北墙垣间距360米,墓园面积约64000平方米。墓园外有道路环绕,道路与墙体平行,路面宽约10米,有车辙痕迹。

这是墓园内出土的陶盆。图片由太原市文物考古研究所提供。
墓园内的两座古墓南北排列,皆坐西朝东,“中”字形制,矩形墓室,深度均接近20米,有东西两条墓道,根据汉代墓葬规制,专家推测它们是同茔异穴夫妇合葬墓。
“虽然现在还未发掘这两座古墓,但‘中’字形墓葬在汉代一般是诸侯王级别的人才能用。”太原市文物考古研究所研究员常一民说。

这是墓园外一座陪葬墓出土的铜镜。图片由太原市文物考古研究所提供。
这两座古墓南北间距163米,考古工作者曾在两座墓的中间区域发掘了一个“井”形遗存,出土了大量汉代板瓦、筒瓦和少量云纹、“宫”字款瓦当残件。此外,考古工作者还在墓园外发掘了11座汉代墓葬。
常一民说,此墓园可能是西汉诸侯王级的墓园,有望填补山西汉代王侯级墓葬发现的空白。“目前考古还在进行中,期待更多发现。”他说。(作者:王学涛)
