政府今日(19日)引用《預防及控制疾病(對若干人士強制檢測)規例》(第599J章),作出限制與檢測宣告,自下午8時起限制在荃灣麗城花園和芙蓉大廈指明「受限區域」,即荃灣青山公路荃灣段620號麗城花園第二期第4座與芙蓉街1-5號芙蓉大廈內的人士須留在其處所並接受強制檢測。受檢人士須在其處所等候,直至區內所有已識別受檢人士完成檢測,而相關檢測結果亦已獲大致確定,方可離開其處所;政府目標是在明日(20日)上午約7時左右完成芙蓉大廈行動,以及在上午約7時30分左右完成麗城大廈行動。
港府表示,由於芙蓉大廈今日發現1宗感染源頭不明的初步個案,經評估後相關區域感染風險有機會較高,故就相關區域作出限制與檢測宣告。麗城花園第2期第4座,同樣於今日發現1宗感染源頭不明的初步個案。
在晚上8時,有政府人員到荃灣芙蓉大廈及麗城花園第2期第4座進行封區行動。晚上9時許,一批身穿保護衣物的職員開始上樓。麗城花園第2期第4座方面,有一批身穿全套防護裝備的人員於晚上約8時,到達大樓上的運動場設立臨時檢測站,期間有居民預早落樓排隊等候檢測。
在荃灣芙蓉大廈,居民在現場接受檢測,情況大致暢順。(馮瀚文攝)











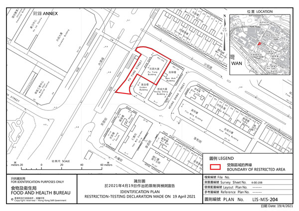
荃灣芙蓉大廈受限區域界線圖。

荃灣麗城花園受限區域界線圖。

