特區政府今日(6日)引用《預防及控制疾病(對若干人士強制檢測)規例》(第599J章),作出限制與檢測宣告,由下午7時30分起限制在沙田指明「受限區域」—即沙田美田邨美秀樓(不包括位於該處的停車場)與屯門指明「受限區域」—即屯門田景路31號良景邨良傑樓(不包括位於地下的世界龍崗學校朱瑞蘭中英文幼稚園)和良偉樓內的人士須留在其處所並接受強制檢測。受檢人士須在其處所等候,直至「受限區域」內所有已識別的受檢人士完成檢測,而相關檢測結果亦已獲大致確定方可離開其處所。
據了解政府目標是在明日(7日)上午約10時完成美田邨美秀樓行動以及於同日中午約12時完成良景邨良傑樓行動。















晚上沙田美田邨美秀樓圍封強檢 蔡啟文攝
政府發言人指由於上述大廈排放的污水樣本對新冠病毒檢查呈陽性,懷疑在大廈內有隱形患者,經評估後相關區域感染風險有機會較高,政府決定就相關區域作出限制與檢測宣告。
政府將於兩個指明「受限區域」內設立臨時採樣站,要求受檢人士在明日(7日)凌晨1時前接受檢測。受檢人士會獲安排到採樣站接受核酸檢測,由專人以咽喉和鼻腔合併拭子採樣。在所有人士有檢測結果前,受檢人士必須留在處所內,以減少交叉感染風險。

圖片說明:圖為沙田指明「受限區域」—即沙田美田邨美秀樓(不包括位於該處的停車場)的界線圖。

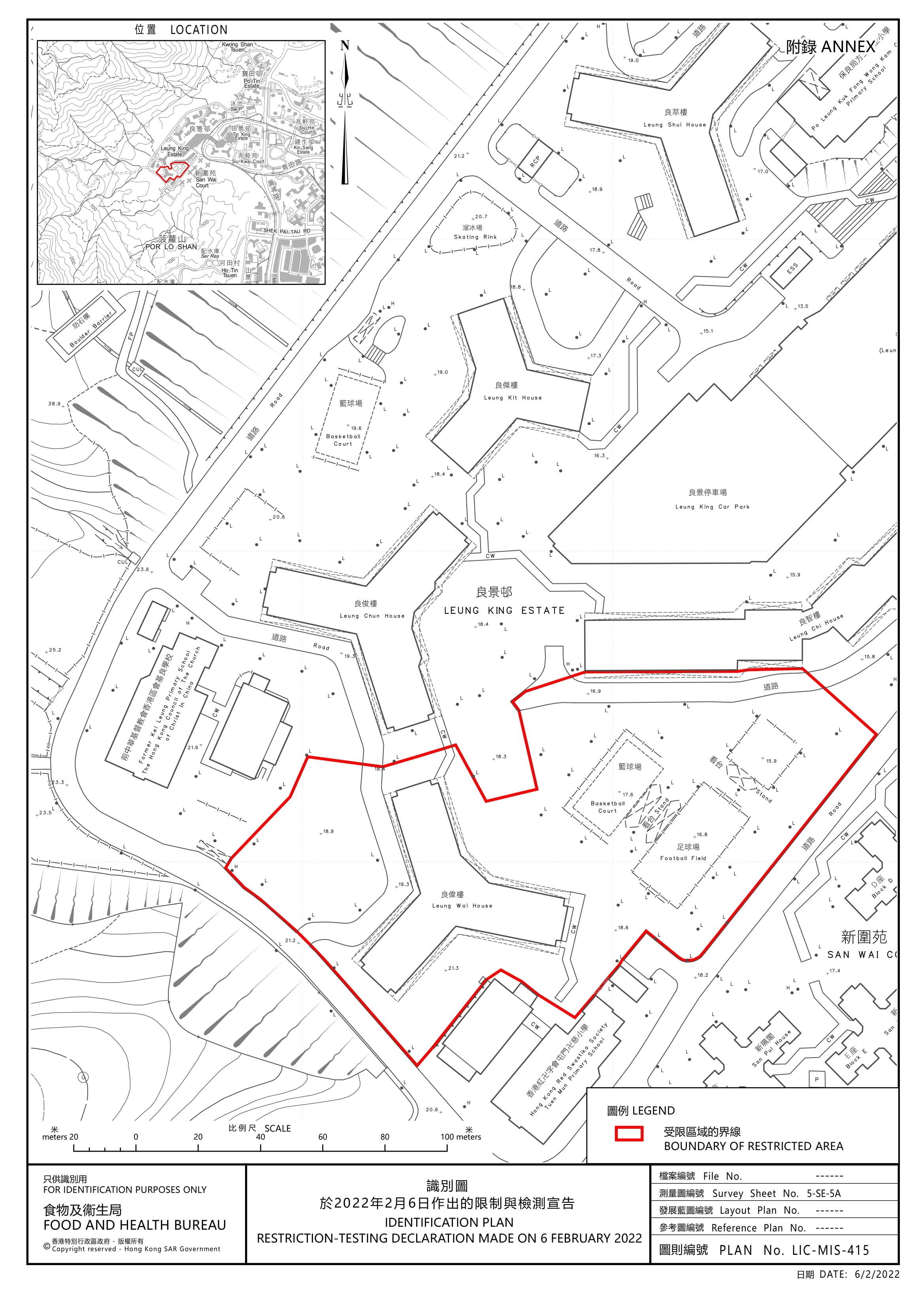
圖片說明:圖為屯門指明「受限區域」的界線圖。

